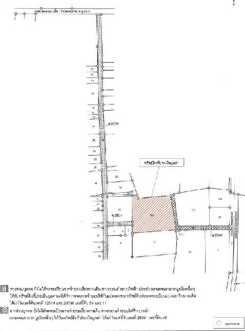
Home /ทรัพย์สินรอการขาย / รายการทรัพย์สิน / ติดต่อธนาคาร / สมุทรสาคร [2-1-สค.-051] ประเภททรัพย์สิน คอนโดมิเนียมบ้านเดี่ยวทาวน์โฮมทาวน์เฮ้าส์บ้านจัดสรรที่ดินว่างเปล่าสวนเกษตรที่ดินว่างเปล่าที่ดินพร้อมสิ่งปลูกสร้างห้องชุดที่ดินพร้อมอาคารโรงงานตึกแถว/อาคารพาณิชย์ที่ดินพร้อมอาคารโรงงานและเครื่องจักรเครื่องจักรต้นสัก รอบประมูล จังหวัด กรุงเทพมหานครสมุทรปราการนนทบุรีปทุมธานีพระนครศรีอยุธยาลพบุรีอ่างทองสิงห์บุรีชัยนาทสระบุรีชลบุรีระยองจันทบุรีตราดฉะเชิงเทราปราจีนบุรีนครนายกสระแก้วนครราชสีมาบุรีรัมย์สุรินทร์ศรีสะเกษอุบลราชธานียโสธรชัยภูมิอำนาจเจริญหนองบัวลำภูขอนแก่นอุดรธานีเลยหนองคายมหาสารคามร้อยเอ็ดกาฬสินธุ์สกลนครนครพนมมุกดาหารเชียงใหม่ลำพูนลำปางอุตรดิตถ์แพร่น่านพะเยาเชียงรายแม่ฮ่องสอนนครสวรรค์อุทัยธานีกำแพงเพชรตากสุโขทัยพิษณุโลกพิจิตรเพชรบูรณ์ราชบุรีกาญจนบุรีสุพรรณบุรีนครปฐมสมุทรสาครสมุทรสงครามเพชรบุรีประจวบคีรีขันธ์นครศรีธรรมราชกระบี่พังงาภูเก็ตสุราษฎร์ธานีระนองชุมพรสงขลาสตูลตรังพัทลุงปัตตานียะลานราธิวาสบึงกาฬ ช่วงราคา น้อยกว่า 1,000,000 1,000,000-10,000,000 10,000,001-50,000,000 มากกว่า 50,000,000 ค้นหาข้อมูล ทรัพย์สินรอการขาย - Export-Import Bank of Thailand รายละเอียดทรัพยสิน Print ประเภททรัพย์สินที่ดินว่างเปล่า รหัสทรัพย์สิน2-1-สค.-051 เนื้อที่4-0-42 ที่ตั้งต.คลองมะเดื่อ อ.กระทุ่มแบน จังหวัดสมุทรสาคร รายละเอียดแผนที่ระวางแดงกรมที่ดิน : http://dolwms.dol.go.th/ ขอรายละเอียดเพิ่มเติมของทรัพย์สินรอการขาย ราคาสุทธิ - บาท เปรียบเทียบ แผนที่ ดูระวาง × 2-1-สค.-051 Preview × 2-1-สค.-051 Your browser does not support the video tag. × 2-1-สค.-051 หมายเหตุ ** ธนาคารขอสงวนสิทธิ์ในการเปลี่ยนแปลงรายละเอียดทรัพย์สิน ราคาขาย รวมถึงเงื่อนไขอื่นใด หรือยกเลิกการขายทรัพย์สินได้ โดยไม่ต้องแจ้งให้ผู้สนใจเสนอซื้อทราบล่วงหน้า ทั้งนี้ ผู้สนใจเสนอซื้อต้องตรวจสอบและศึกษารายละเอียดทรัพย์สินและเอกสารสิทธิ์ด้วยตนเองก่อนการตัดสินใจเสนอซื้อ และธนาคารเป็นอันหลุดพ้นจากความรับผิดชอบอย่างใด ๆ ในทุกกรณี อาทิเช่น (แต่ไม่จำกัดอยู่เพียง) รายละเอียดและ/หรือข้อมูลและ/หรือข้อเท็จจริงทรัพย์สินมีความคลาดเคลื่อนกับที่แสดงไว้ ไม่ว่าทั้งหมดและ/หรือบางส่วนหรือเกิดความคลาดเคลื่อนตกหล่นในการจัดพิมพ์ เป็นต้น สนใจทรัพย์สิน ติดต่อ ส่วนบริหารทรัพย์สินรอการขาย ฝ่ายบริหารหนี้ โทร : 02-271-3700 ต่อ 1950,1951,1952,1959 โทรสาร : 02-271-3014 Leave message Message: Please enter a message.